Termine/Notfälle: +43 (0) 660 80 50 586

BarakVet

Offizielle HD, ED, OCD-Untersuchung

Lesedauer: 3 Minuten
Offizielle HD, ED, OCD-Untersuchung

Im Rahmen der Zuchtuntersuchung für die Rasse Deutschlanghaar werden bei uns offizielle HD-, ED- und OCD- Röntgenaufnahmen angefertigt und beurteilt. Anderorts angefertigte, Richtlinien entsprechende Aufnahmen werden bei uns auch beurteilt. In weiterem Text finden Sie detaillierte Informationen über dem Anmeldeformular, Röntgentechnik, sowie erklärende Bilder.

Anleitung für die offizielle Röntgenaufnahmen
Richtlinien für die ED Röntgenaufnahmen

Das Mindestalter für die Rasse Deutschlanghaar für die offizielle Röntgendiagnostik (HD, ED, OCD) beträgt 12 Monate.

1. Beschriftung:

  • Die Identität des betreffenden Hundes muss anhand der Röntgenbilder eindeutig nachvollziehbar sein.
  • Vollständig (!) ausgefülltes Formular des österreichischen Deutschlanghaarklubs ist mit Röntgenaufnahmen mitzuschicken.
    Zum Formular
  • Röntgenbilder mit ungenügender, fehlerhafter, provisorischer oder löschbarer Identifikation, sowie unvollständig ausgefülltem Formular werden nicht ausgewertet.
  • Alle Röntgenbilder müssen im DICOM-Format übermittelt werden. JPEG-Format oder andere Bildformate können nicht ausgewertet werden.
  • Die Röntgenaufnahmen mit Überlagerungen/ Artefakten von Schmutz, Halsbändern/Brustgeschirren oder ohne Seitenmarkierung werden nicht akzeptiert.
2. Belichtung /Strahlendosierung:
  • Unterbelichtung und Überbelichtung vermeiden
 

3. Lagerungstechnik:

Richtlinien für die ED (Ellbogendysplasie) Röntgenaufnahmen

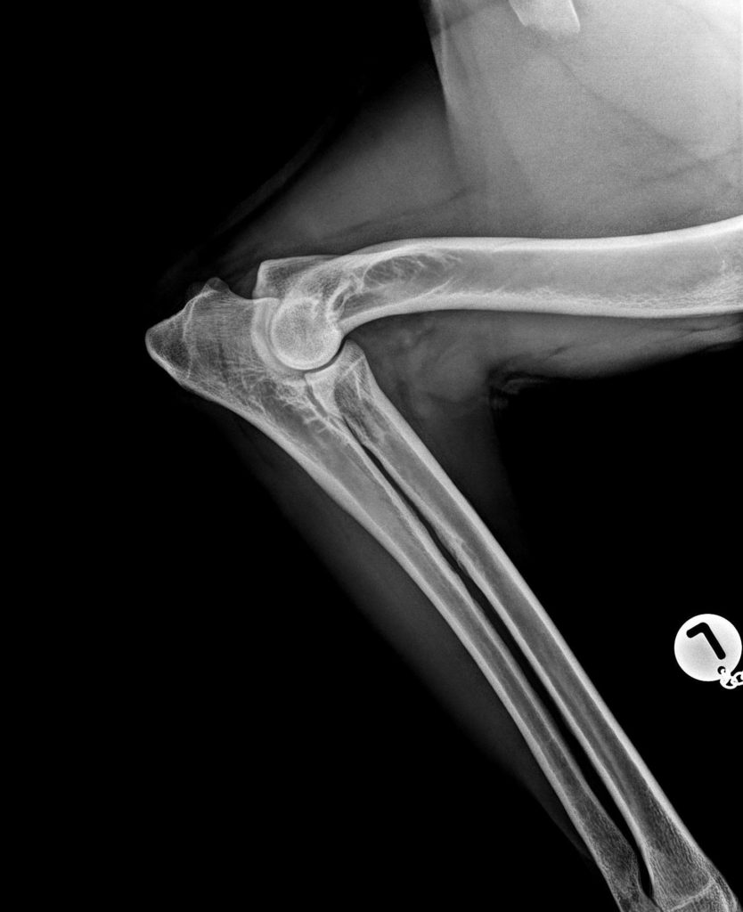
a. Mediolaterale Aufnahme (Abb. 1)

Ellbogen leicht gebeugt/ Öffnungswinkel zwischen 45° und 90°. Der Processus Anconaeus muss deutlich sichtbar und sein Verlauf nachvollziehbar sein. Um exzessive Pronation oder Supination des Unterarms zu vermeiden, empfiehlt sich das Beugen des Karpalgelenks und Lagerung parallel zu der Tischplatte.

BorakVet-Richtlinien ED Röntgenaufnahme
Abb. 1

b. Kraniokaudale Aufnahme (Abb. 2)

Zur Darstellung des medialen Processus coronoideus sollte das Ellbogengelenk in craniocaudaler Projektion gut gestreckt und leicht eingedreht werden (ca.15° Pronation). Proximo- lateraler Rand des Olecranons sollte sich über der lateralen Kompakta des distalen Humerus überlappen.

Jedes Ellbogengelenk muss separat (!) geröntgt werden.

BorakVet-Richtlinien ED Röntgenaufnahme
Abb. 2
Richtlinien OCD (Schulter) Röntgenaufnahmen

a. Mediolaterale Aufnahme (Abb. 3)

Schultergelenk muss ausgestreckt sein und ohne Überlagerung der Gelenksfläche mit der Luftröhre, Brustbein oder anderen Knochen abgebildet werden.

BorakVet Richtlinien OCD (Schulter) Röntgenaufnahmen-Abb3.
Abb. 3
Richtlinien HD (Hüfte) Röntgenaufnahme

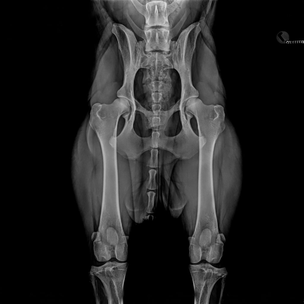
a. Ventrodorsale Aufnahme (Abb 4.)

1. Die Aufnahme muss in Sedation durchgeführt werden.

2. Das gesamte Becken einschließlich Kniegelenke müssen abgebildet werden.
(Abb 4.)

3. Becken muss symmetrisch abgebildet werden. Foramina obturatoria und Darmbeinschaufel beachten. In der kurzen Achse darf das Becken nicht überdreht werden. (Keine „ Katzenaugen“ der Foramina obturatoria!)

4. Oberschenkel müssen parallel zueinander und zum Tisch gelagert werden. Beide Patellae sollten in der Mitte der Trochlea femori und auf der Höhe der Fabellae sich befinden.

5. Bildqualität muss ausreichend sein, um dorsalen Pfannenrand erkennen zu können.

BorakVet Richtlinien HD (Hüfte) Röntgenaufnahme Abb4.
Abb. 4

Kontakt aufnehmen

Wir sind gerne für Sie und Ihr Tier da!